Signed in as:
filler@godaddy.com
Signed in as:
filler@godaddy.com
This historical information has been gathered thanks to the stories and photos shared by many current and previous Sunset Lake and Hampstead residents as well as many years of research. If you have any historical information or photos to contribute, please contact us at info@slahampstead.org. We appreciate your input!
The Ells Neighborhood consists of the homes accessed via Ells Road off of Kent Farm Road and includes Ells Road, Edgewater Lane, and Grove, Thomas, and Wakefield Drives and was the first major neighborhood developed on the lake. It was also the only neighborhood to contain a business supporting the neighborhood and residents of surrounding towns.
The original property was 38 acres and included 185 Main Street, the 4 acre parcel and large white home on the corner of Main Street and Kent Farm Road which is now owned by Camp Tel Noar. It was owned by William Cobb and his heirs from 1844-1905 and is labeled "Cobb 38 acres" on the map on this page. William Cobb deeded 5 acres of this land to the Town of Hampstead in 1888 for $523 to create the Eastman Cemetery, now called Lakeview Cemetery. This cemetery was expanded by 2.75 acres in 1999 when Hastings Drive was developed. In 1897, William Cobb deeded 3 acres adjacent to the cemetery to Mary Lake (today's 89 Kent Farm Road and 10 Ells Road).
The remaining 30 acres, including 185 Main Street, was deeded 5 times between 1905-1919 to various families until it was owned by Everett Mills. Mills sold the 4 acre lot with the house on Main Street in 1919 and kept the remaining 26 acres.
In 1926, Mills deeded 18 acres adjacent to the lake to Lemuel and Ethel Ells of Melrose, MA (originally from Canada) giving the Ells a 12' right of way (today's Ells Road) through the 8 acres on Kent Farm Road (today's 2, 5, and 9 Ells Road) that Mills kept for himself. This was the start of the Ells neighborhood and was soon to be known as Sunset Lake Cottages.
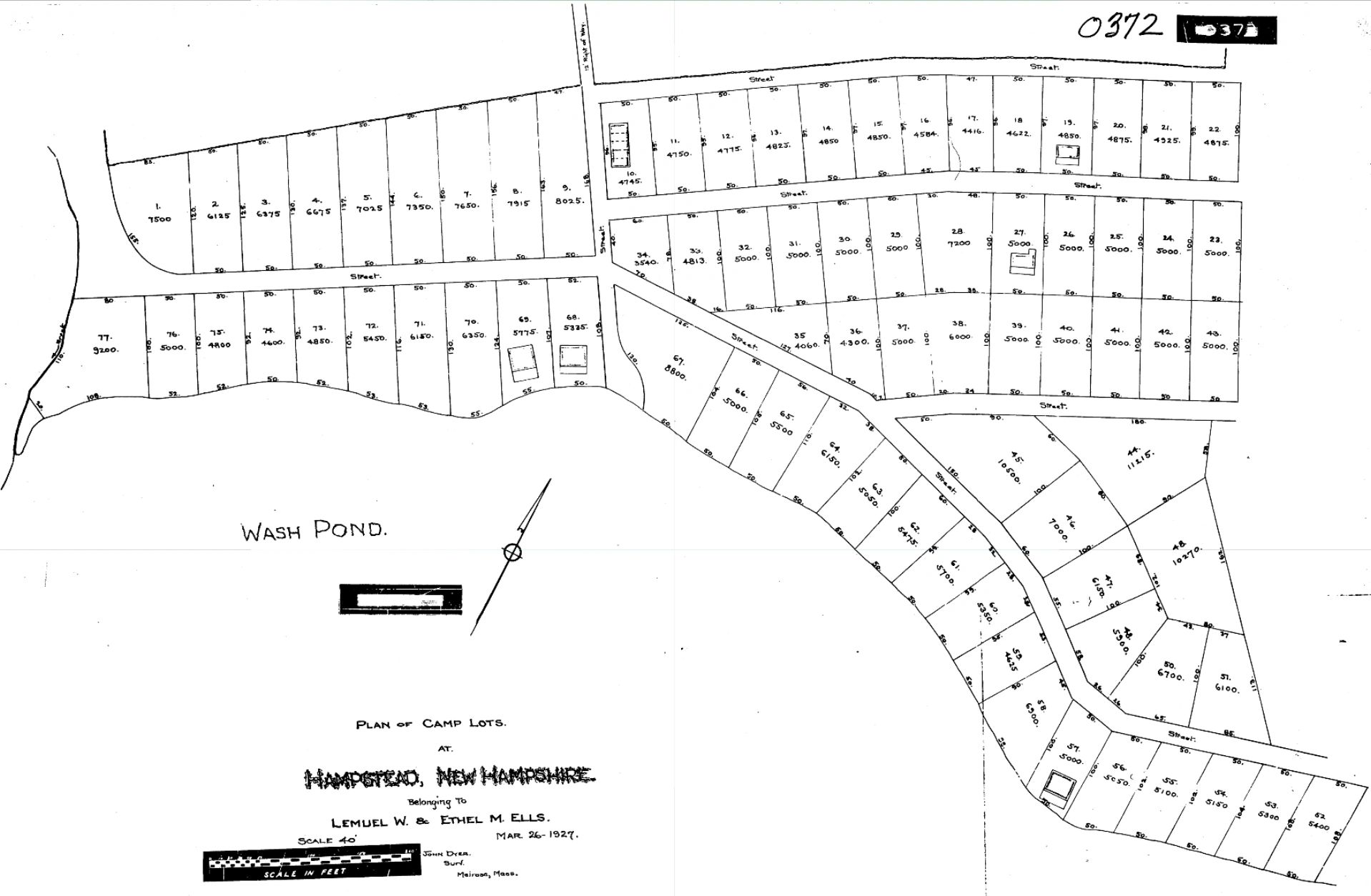
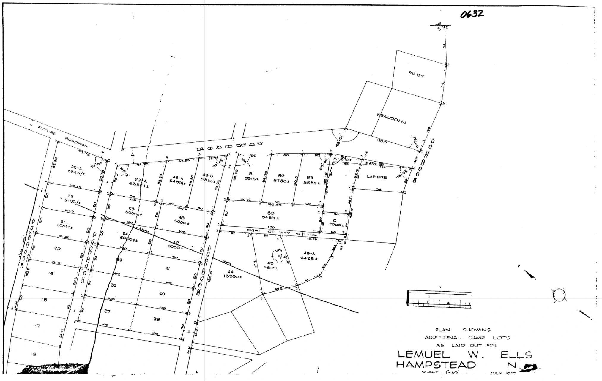
Lemuel Ells was a builder and soon started subdividing the property into "camp lots" to attract people from the suburbs of Boston to Sunset Lake. Lemuel and Ethel lived in a tent on the property until the first cottage was completed. Cottages were built for rent or purchase; it is unknown if one could "rent to own". As can be seen in the plans below, in 1928, they planned for 77 camp lots, most of which were 100'x50' in size. An additional plan from 1947 reconfigures the lots on the east side of the development and increases the lot number to close to 100. Over time, and even in the early days of development, many of these lots were combined to result in 68 properties in the Ells neighborhood today. If these original plans were implemented with 100'x50' lots, there would have been a minimum of 108 lots and likely many more since the plans do not cover the entire area, especially east of Grove Drive.


1927: Original plan for 77 camp lots, mostly of size 100'x50'.

1947: Additional camp lot plan adding today's Grove Drive and additional lots.
While Lemuel was busily building cottages for sale and rent, Ethel, also known as "Mrs. Ells" and later "Grammy Ells" was busy running the rest of the family business. Today's Hampstead Town Beach was once a bustling business with a building housing a store, restaurant, and dance hall. They also charged for parking, swimming, fishing, and boat rentals. They operated an ice harvesting business in the winter and the buildings to the right of this image likely acted as the ice house. As There was originally a wall along the shorefront of the town beach as can also be seen in the image. Mrs. Ells also resided in the buildings on the beach.

Today's town beach was once a store, dance hall, and home to Ethel Ells.

Post Card advertising the Pavilion at Sunset Lake and all it had to offer.

Common folklore is that the Ells family first coined the Sunset Lake name to attract people from the Boston suburbs to rent or buy their "Sunset Lake Cottages". Supporting this story is the first known deed reference to Sunset Lake which was by Ells in June 1928 for today's 57 Ells Road, while all of their previous deeds from 1926-1928 referenced Wash Pond.
However, earlier references to Sunset Lake have been found in in this 1889 advertisement and articles from 1902 and 1915. While the Sunset Lake name was certainly in use before the Ells moved to Hampstead, the Ells family likely popularized the name with their very popular Sunset Lake Cottages and Pavilion.
Some of the first cottages that Lemuel built were on the lake just to the south and next to the store as this postcard shows, which were eventually to become 2 & 4 Edgewater Lane. In 2020, the 2 properties were combined, the cottage at 2 Edgewater was torn down and an addition with a 2 car garage was add to the original 4 Edgewater cottage.
The first lot in the neighborhood was sold by Ells in August 1926 and is today's 20 Thomas Drive, but a house might not have been built until 1942 (according to the tax card). In September 1926, Ells sold the first waterfront lot, today's 49 Ells Road, and the cottage on that lot which still stands today was built in that same year.

Early cottages built in 1926.
In 1928, Ells acquired the 3 acre property next to the cemetery from Mary Lake and this property became a baseball field and had a long pavilion building with cooking facilities and it is believed that at some point, the dance hall was moved from the beachfront building to this new pavilion, allowing expansion of the store/restaurant at the beach. Local organizations would rent out the pavilion facility and baseball field for summer outings and other gatherings.
This 3 acre parcel was sold by the Ells in 1968 and today this property has been split into 89 Kent Farm Road and 10 Ells Road. You can see a portion of the old pavilion if you look through the woods from Ells Road to the 10 Ells Road property, but the winter of 2022-23 with it's heavy snow was not kind to the building, collapsing the roof.

Early admission ticket to the Sunset Lake Pavilion
After Everett Mills passed away in 1939, Ethel Ells acquired the 8 acres on Kent Farm Road (today's 2, 5, and 9 Ells Road) from the Everett Mills estate in 1940. In 1948 Ethel deeded the 2 Ells property to her son Warren. Warren, who was also a carpenter and builder, built the home that is on 2 Ells Road as a residence for himself and his wife Alice. This photo is taken from the 200th Anniversary of Hampstead (1749-1949) Souvenir Booklet, a copy of which is available at the Hampstead Public Library.
Lemuel Ells passed away in May of 1950 and Ethel Ells continued running the business along with her son Warren.

Warren Ells house (2 Ells Road) under construction
In August 1959, Ethel Ells and all of the property owners on "East Shore Road", the east-west portion of today's Ells road as shown on the plan below, deeded East Shore Road to the Town of Hampstead to make it a public road.
As can be seen from this plan and from references in old deeds, some of the original street names were different than today's names which were renamed for 911 emergency purposes:

1959: Plan when East Shore Drive was deeded to the Town of Hampstead.
In April of 1969 Ethel Ells deeded the store and beach lot and 4 of the lots making up the beach parking areas to Warren but she continued to live in the beach residence for another year. At the end of the 1970 summer season, Ethel retired to her second home in Florida, leaving the operations of the business to her son Warren.
In October of 1972, Ethel deeded the 6th and last parcel that makes up the Town Beach property (another portion of today's parking lot) to Warren. In that same year, Warren sold the 2 Ells Road property and moved to Canada, from where his parents were born.
In April of 1973, Warren sold the 6 parcels that make up today's Hampstead Town Beach and parking lots to Aime & Monique Gingras, officially ending the era of the Ells family in Hampstead. As can be seen by the various newspaper clippings below on this page, the Ells family not only had huge impact on the neighborhood that they built, but they graciously opened up their beach to Hampstead town residents free of charge during certain hours and Ethel, Warren, and Alice Ells were active members of the Hampstead Grange, holding leadership positions.
Aime & Monique Gringas continued to operate the store and restaurant under the name "Sunset Lake Restaurant". They sold the property to the Town of Hampstead in 1976 so that the town could use the 6 parcels to create the Hampstead Town Beach as we know it today.
In June of 1976, Ethel deeded the vacant lot that is today's 5&9 Ells Road to Warren. Warren passed away and his wife Alice sold the vacant 5&9 Ells Road parcel in 1984. That same year 5 & 9 Ells Road were subdivided into 2 parcels and the current homes were built completed in 1984 and 1985.
The year 1984 was the end of land ownership by the Ells family in the neighborhood. For the most part, it also ended major development in the neighborhood other than minor land swaps by owners and home renovations or replacements.
Ethel Ells passed away in 1991 at the grand old age of 100. She and her family are buried in the Lakeview Cemetery on Kent Farm Road as are many of the previous land owners mentioned above, including William Cobb and Mary Lake.
1929 postcard of the view eastward along the north shore towards the Sunset Lake Pavilion (Today's Hampstead Town Beach)
Early photo of 2 Edgewater Lane (torn down in 2020)
The following is a summary of the years and number of lots that the Ells family deeded to other owners: 1926(4),1927(5),1928(9),1929(9),1930(2),1932(1),1934(1),1937(1),1938(2),1940(1),1941(1),1942(1),1943(4),1944(2),1945(3),1946(5),1948(2),1949(2),1950(3),1951(3),1958(1),1961(1),1968(1-split into 2 lots in 1989),1969(1),1971(1),1972(1),1973(6 Town Beach lots),1985(1-split into 2 lots in the same year by new owner)
Explore more history:
We hope that you enjoy exploring the Sunset Lake history. We will continue to add information as time permits and we discover more history. If you have any historical information or photos to contribute, please contact us at info@slahampstead.org. We appreciate your input!
Sunset Lake Association
P.O. Box 135 • Hampstead, New Hampshire 03841
This website uses cookies. By continuing to use this site, you accept our use of cookies.